You've got questions, we've got answers
How to determine your price range
Everything you need to confidently buy your new home
What you need to know
Find trusted vendors in your area
Find utility information for your area
Send an email with a link to
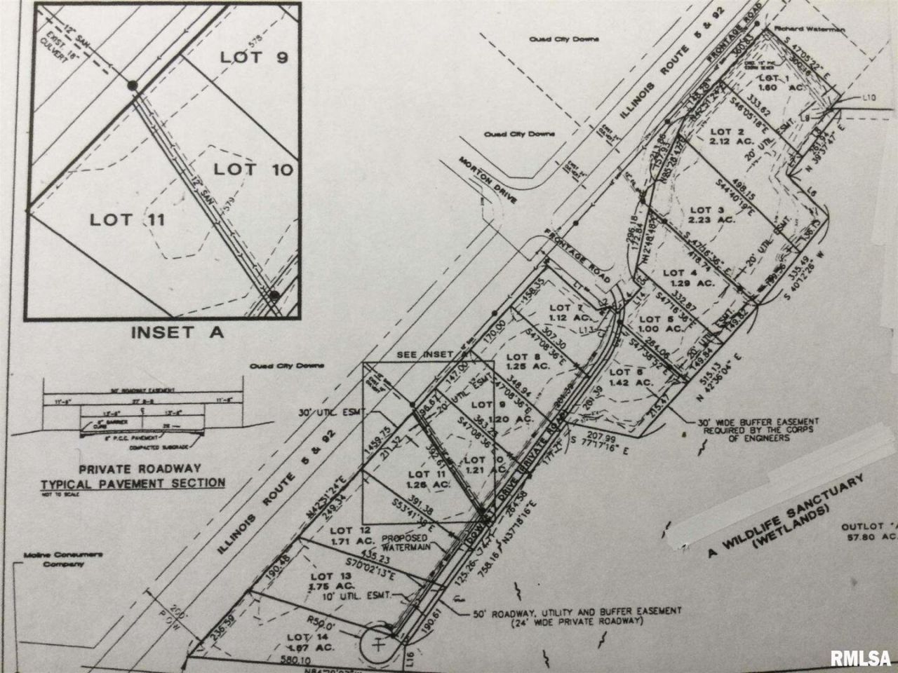
Illinois Highway 92, East Moline, IL 61244.
Industrial Park along heavily trafficked Hwy 92 in East Moline totaling 14.88 (MOL). Close proximity to I-80/I-88 interchange. Price varies on lots 4-14 based on individual parcel sizes or a combination of lots. Preliminary Plat with flexible development options. End users' plat, survey, and boundary lines are subject to Seller's approval. Zoned I-2.
MLS ID: QC4268137
Shown By
Contact an agent to learn more about
Illinois Highway 92, East Moline, IL 61244.

Call or Click to get Pre-Approved!
563-441-1862
toll free 866-441-1862
Customize Your Rate
| Loan Type | 30 Year Fixed | FHA 30 Year Fixed | 15 Year Fixed |
| Purchase Price | $320,100 | $320,100 | $320,100 |
| Down Payment | $64,020 | $11,204 | $80,025 |
| Monthly Mortgage Amount | $1,494 | $1,834 | $1,914 |
| Taxes | $445 | $445 | $445 |
| Insurance | $100 | $100 | $100 |
| HOA/Dues/Fees | $0 | $0 | $0 |
| Monthly Mortage Insurance | $0 | $141 | $0 |
| Monthly Estimated Total | $2,039 | $2,520 | $2,459 |
East Moline, IL—located on the south bank of the Mississippi River—is a budding city with a lot of charm and a growing small business community. In fact, it’s actually part of the Quad Cities! The Quad Cities are actually made up of five cities, not four, and East Moline completes the bunch. Davenport, Moline, Rock Island, Bettendorf, and East Moline are the five main cities in the Quad Cities. But other towns like Eldridge, Le Claire, Coal Valley, Silvis, Milan, and Port Byron all make up the Quad Cities as well. East Moline is located in Rock Island County, about 7 miles from Davenport, and about 145 miles from Chicago.
It’s no surprise that East Moline is becoming a popular destination to buy a home. The local real estate market boasts some of the finest housing options in Illinois. The Quad Cities as a whole ranks 4th in Most Affordable Places to Live in the Country according to U.S. News, and out of a 10-point system, gave the region an overall score of 6.3, quality of life a 6.5, and an overall value of 8.4. Not to mention it was also ranked 53rd in Best Places to Live and 105th in Best Places to Retire based on job markets, quality of life, affordability, and people’s desires to live here of the 150 metro areas in the country.
East Moline has a reputation for being safe, family-oriented, and is close to shopping, schools, and a thriving business district. It is also home to beautiful retirement communities, extended care facilities, senior living complexes, and much more.
Area residents and industry workers love to take advantage of a convenient, expansive transportation system composed of interstate highways I-280, I-74, I-80, and I-88. The Burlington Northern Santa Fe Railroad, Iowa Interstate Railroad, and Davenport, Rock Island, and Northwestern Railroads provide daily passenger and freight services. The nearest Amtrak train is located in Galesburg, which is just about 45 miles south of East Moline. There are also local area taxies, rideshares, and community bus services available, and for those who require air travel, the Quad City International Airport is only six miles away.
East Moline’s ideal location, picturesque beauty, and diverse housing options from spacious Victorians to charming Cape Cods offer beautiful river views, wooded lots, and more.
While the economy is strongly connected to the farming industry, being a part of the Quad Cities offers residents various options for work in many different industries. The area consistently shows positive economic growth and the average commute time for just about anywhere is less than 20 minutes. It’s strategically located “in the middle of it all” and the area’s abundant natural resources and excellent transportation systems help to maintain a steady stream of business to the region.
Known as an economic hub, East Moline supports a high-quality environment, infrastructure, planning and development that ensures it will continue to grow and thrive. As you’ve probably guessed, agricultural manufacturing is one of the biggest industries in the Quad Cities region—as Deere & Company was founded in the area in 1837. John Deere Harvester Works produces combines for domestic and international grain harvesting operations all over the world and is one of the most profitable companies here alongside Case New Holland Corporation. Other major employers include McLaughlin Body, KVF Quad, 4C Solutions, and many more.
But that’s not all. There are many opportunities for development in the area. From small properties ideal for retail and independent offices to large sites that are perfect for major corporations and office park developments, many companies are choosing to set up shop in the area for its desirable land, tools, and industrial expansion options. East Moline encourages growth and opportunity in all industries—and because of its state and local tax incentives—many people choose to move or start their own businesses here.
As a popular recreation destination, area residents can be found frequenting more than a dozen area parks, fields, courts, campgrounds, and dedicated picnic areas. The bike paths and running trails throughout the city that follow the Mississippi and Rock Rivers also offer boating facilities and exciting water sports opportunities like kayaking, canoeing, and paddle boarding. Some of the most popular nearby attractions include Empire Park, Rock Island Arsenal, The RiverWay, and much more.
For those looking to exercise their minds and indulge in the arts, music, culture, and animal scenes, East Moline offers entertainment all year round. A number of galleries and museums showcase the work of both local and international artists, and the Putnam Museum of History and Natural Science in Davenport is home to over 160,000 different artifacts and specimens in a 76,000-square-foot facility.
There’s also an exciting nightlife scene in East Moline! Spend the night out at the casino, head to a movie, dance away the night at a local club, or mark your calendar for one of the riverfront’s many festivals and attractions that are scheduled all throughout the year.
If you are ready to start your home buying or selling journey, browse the latest real estate listings in East Moline, IL. You can also contact us—we are here to help!
Nearest Ruhl & Ruhl Office: Moline, IL
1701 52nd Avenue
Moline, IL 61265
(563) 441-1776


